Email: team@sloughcentral.com
Phone: 01753 394141
The Slough Central site is located in the heart of Slough town centre. The 15-acre site currently comprises the Queensmere & Observatory Shopping Centres.
Slough is highly accessible and well-connected by car, train and public transport. It is also only a short distance from Heathrow Airport. Following the completion of Crossrail, the town centre will also enjoy faster links to London and beyond.
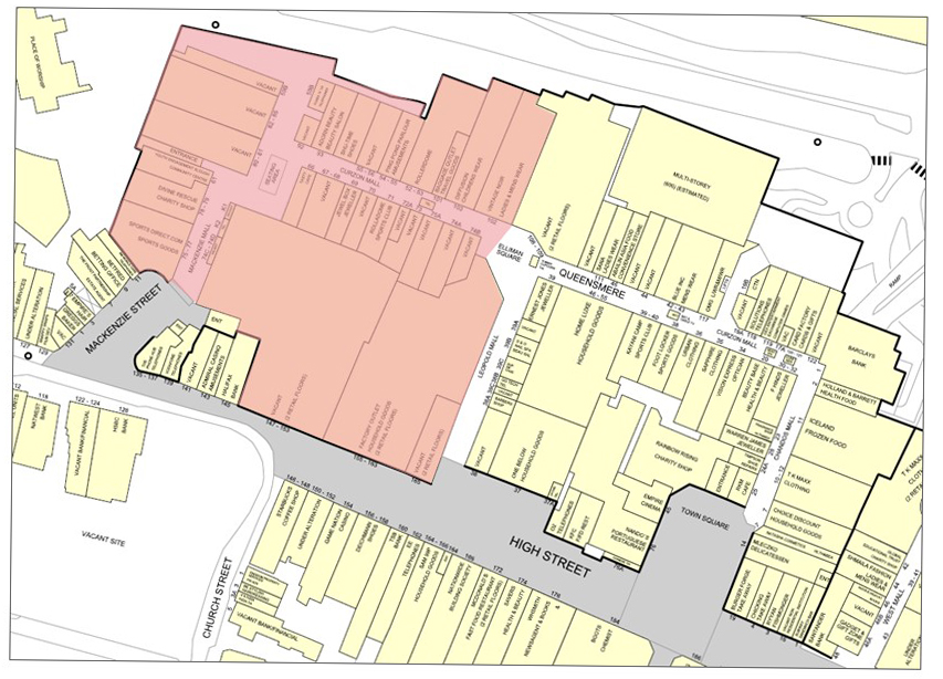
British Land is preparing for the closure of the western end of the Queensmere Shopping Centre. The partial closure will take place in January 2023, following a three-month notice period for tenants and the Christmas holidays.
This process will allow existing tenants to move elsewhere within the Queensmere and the Observatory, to focus the retail activity and creating a more vibrant shopping environment. The closure responds to existing issues with low footfall, resulting from the changing nature of retail and challenges posed by the Covid-19 pandemic. It will also allow initial preparations for the much-needed redevelopment of the Centre to commence as quickly as possible.
The eastern end of the Queensmere Shopping Centre, as well as the whole of the Observatory Shopping Centre, will remain open. In recent years the western end of the Queensmere has been quiet and trade has been low. Hoardings will be installed on entrances from Wellington Street and Mackenzie Street; this area will no longer be accessible to visitors.
The map below shows the part of the Queensmere which will be closed from January.
The redevelopment of the Queensmere & Observatory Shopping Centres aims to bring investment, community and activity to the town centre. After many years of promises, the transformation of the town centre is really happening.
The redevelopment will be delivered in two phases – The Queensmere Shopping Centre being the first and the Observatory Shopping Centre being the second.
The Queensmere Shopping Centre was built in the 1970s, with the later addition of the Observatory, built in the early 1990s. Both centres have suffered from the global challenges created by lifestyle changes and the growth in online retail. This is particularly true for the Queensmere Centre, where its condition is declining and it is no longer suited to modern retail in terms of its size and shape, containing several large format units designed for the likes of Woolworths.
The redevelopment of Slough Central is aligned with Slough Borough Council’s aspiration for growth – as set out in the Council’s Inclusive Growth Strategy, Strategic Regeneration Framework and emerging Spatial Strategy.
During the Covid-19 pandemic we have focused on how the Queensmere & Observatory shopping centres can be used to support the local community during an extremely challenging period.
We have supported the existing retailers within the centre over this time and we will continue to support them as we continue the process of recovery from the pandemic. Please visit our Local Investment page to find out more.
If you have any questions about the project, please get in touch
Sign up to receive up-to-date news about the project
We use reCAPTCHA to help protect this website and its users from spam and abuse. Any information you provide us with, should you wish to do so, will be held securely and processed in line with our privacy policy. You will only be contacted in relation to the project.
Copyright ©2026 All rights reserved | Designed and built by Kanda Consulting